For the benefit of any new residents the Silvery Sands Residents Association (SSRA) is the body that has maintained your roadways for many years.
The houses covered are:
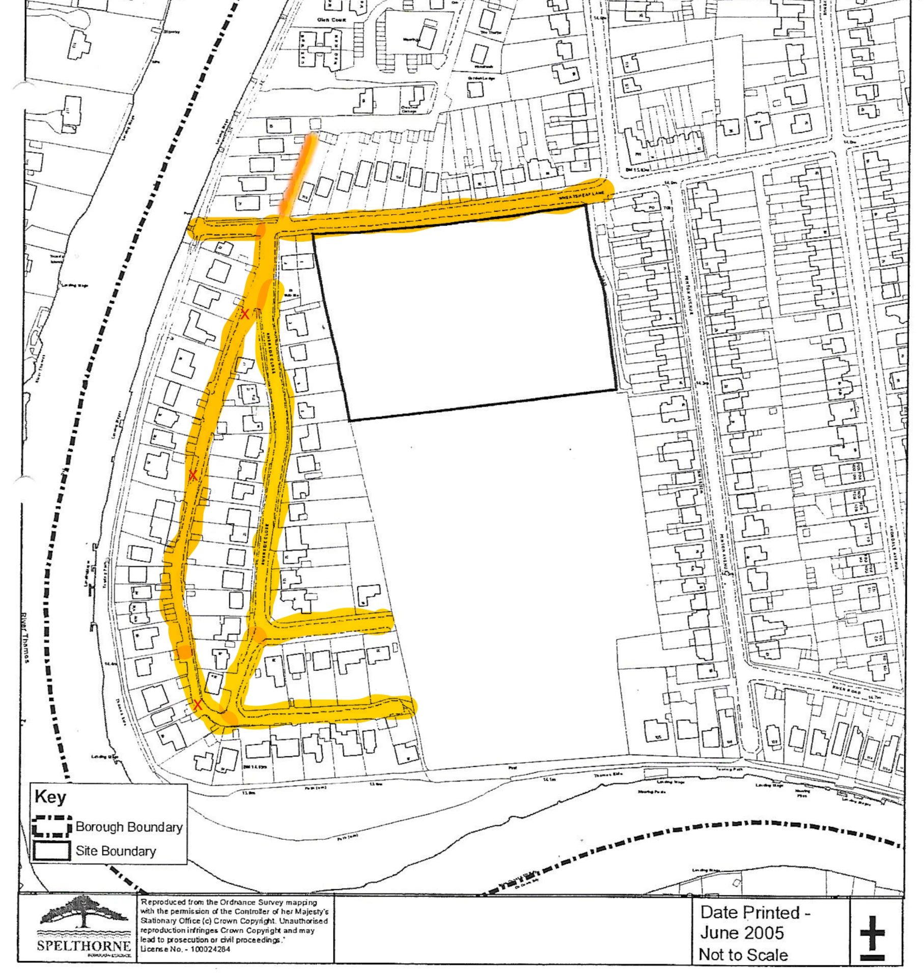
Wheatsheaf Lane Nos 80 to 110
Riverside Close
Thames Side Nos 67 to 97
The highlighted areas below represent the roads maintained by our association.



Background
The Association came into being many years ago when there was no organised road maintenance being carried out on these private roads. At the time the very bad condition of Wheatsheaf Lane in particular caused Spelthorne Council to threaten to stop making refuse collections as they were concerned that their vehicles would suffer damage. More importantly the same restriction might have been applied to ambulances and other emergency services.
Since then the Association has looked after road maintenance on your behalf with subscriptions raised from residents. You will appreciate that if the roadways do deteriorate to a state unacceptable to Spelthorne Council they will “adopt” the road and bring it up to standard. This will be at least a 5 figure cost to each household which makes the current subscription look like extremely good value.
You should also be aware that most of the local solicitors know of the existence of the Association and will contact us in the event of a house sale, as has happened very recently when a request for information from a solicitor was initially declined as the vendor had not paid their subscription. Subsequently the information was supplied by the Association on receipt of payment.